Skip to content
View in the app

A better way to browse. Learn more.

FengShui.Geomancy.Net

A full-screen app on your home screen with push notifications, badges and more.

To install this app on iOS and iPadOS
  1. Tap the Share icon in Safari
  2. Scroll the menu and tap Add to Home Screen.
  3. Tap Add in the top-right corner.
To install this app on Android
  1. Tap the 3-dot menu (⋮) in the top-right corner of the browser.
  2. Tap Add to Home screen or Install app.
  3. Confirm by tapping Install.
About Feng Shui at Geomancy.Net
Sponsored Link
 

HDB Toa Payoh Kim Keat Beacon BTO launched in May 2018 + indepth understanding of Kitchen at NW = Fire@Heaven's Gate. Affects everyone?

Featured Replies

  • Author
  • Staff

Part 2: HDB suggested layout idea and the position of the stove and sink...

1. Under Shapes and Forms Feng Shui avoid placing the stove facing the sink and vice-versa.

428845403_commentsKimKeatBeaconlayoutideas3bedrooms.thumb.png.7940ce6e454216352a689887071bd9c1.png

2. For the 4-room type, it is perfectly acceptable to have the stove side-by-side to the sink. Ideally, best to leave a distance of at least 30cm between the drainage sink and the border of the stove.

1234570145_commentsKimKeatBeaconlayoutideas4bedrooms.thumb.png.601c5492401cefb9912df470760ed6d2.png

3. Feng Shui and the location of the stove:

 

  • Author
  • Staff

Part 3: External Environment and the site

1. As the PIE slip road slices inwards towards the development; the planners of Keat Hong Beacon did the right thing by placing the 4 storey MSCP as a buffer for the three housing blocks: 265A, 267A and 266A

comments External Shapes and Forms and Kim Keat Beacon.png

2. In addition to the 4 storey car park as a major buffer with both PIE and the slip road;

3. Another plus is the Park acting as a buffer with the PIE.

4. Thus even if this site is not as outstanding due to the curved slip road inwards towards the development; all stacks/units are shielded from these roads.

5. The planners of this estate seriously took the environment into consideration. Contrast this to HDB Tampines GreenVines. A pale planning comparision to this development.

comments Kim Keat Beacon townmap.png

  • Author
  • Staff

Part 4: Avoid purchasing a unit in full/partial view of the Precinct Pavilion: especially low storeys such as stacks #530 and #532.

Avoid purchasing low level stacks #530 and #532. As these two stacks directly faces the precinct pavilion.

If possible, also; avoid low level stacks #538 and #540.

In addition: stack #564 is pretty close to the precinct pavilion. Thus do avoid low storeys in this stack.

P.S. Precinct Pavilions are locations where wakes/funerals occurs. These "activities" cannot be planned. And sometimes may coincide with one's festive holiday e.g. Chinese New Year etc...

Kim Keat Beacon n precinct pavilion.png

  • Author
  • Staff

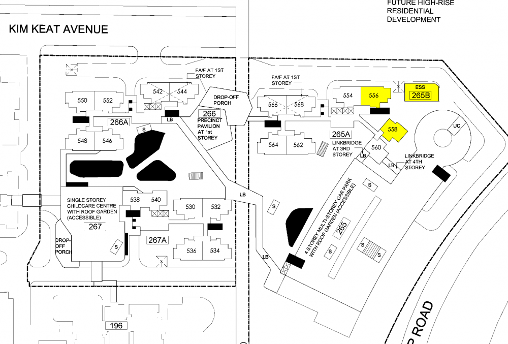
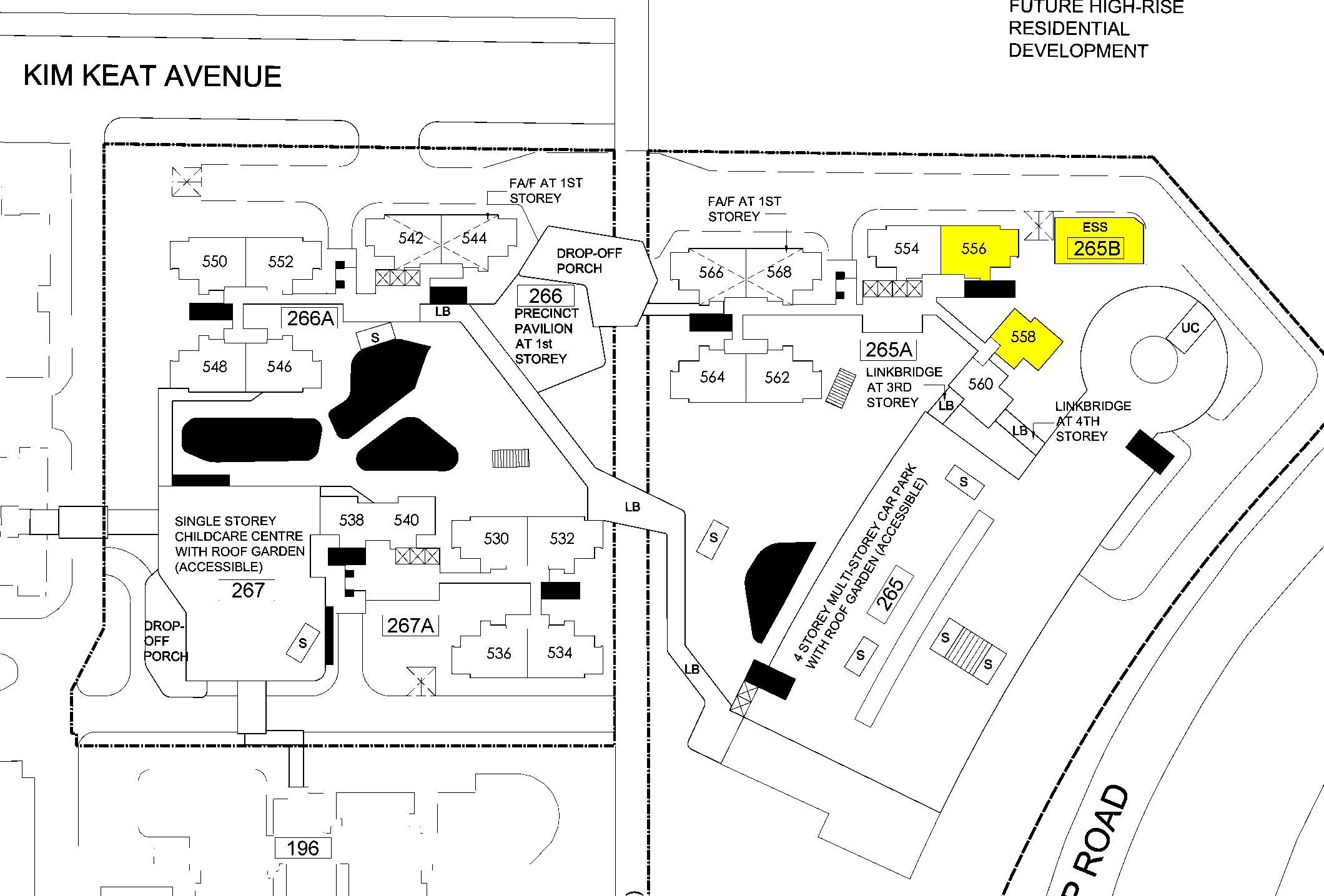
Part 5: Is it inauspicious to live near to an Electrical Sub-Station (ESS)? 

Frankly, there are no scientific proof to say that living near to an ESS is bad:-

However, it has more to do with taboos or grand mother tales that one should not purchase a unit close to an ESS. Such as avoid purchasing low storeys of stacks #556 and #558.

Unfortunately, sometimes, it is difficult to change one's perception.

If so, do give these two stacks (low storeys) a miss.

Kim Keat Beacon n ESS.png

  • Author
  • Staff

Part 6: Location of the central rubbish bins

For HDB Kim Keat Beacon, majority of the central rubbish bins are generally well placed. And nothing out of the ordinary.

With the exception of Block 267A: where at the main door of stack #540: one has a full view of one of the central bins.

P.S. Nowadays, each block has two bins: recyle and regular bins.

Kim Keat Beacon and central rubbish bins 1.png

  • Author
  • Staff

Part 7: Fei Xing or Flying Star Feng Shui of Kim Keat Beacon

According to HDB, this development's estimated completion will be in the year 2022:-

239363128_KIMKEATBEACONEXPECTEDTOP.png.0389d3151e0956ea20425e975322bcb6.png

As such this development's Flying Star chart will be based on Period 8 Feng Shui. Majority of the stacks/units either face N2 or S2:-

Kim Keat Beacon Flying Stars.png

  • Author
  • Staff

Part 8: Male Breadwinner and the inauspicious Fire at Heaven's Gate

1. Search for the phrase "Fire at Heaven's Gate" within this forum.

2. Typically, a kitchen located at the NW cardinal point, especially with a stove, can bring inauspicious energy for the male head of the household, potentially affecting him.

3. The NW direction in the Ba Gua Trigram is associated with Heaven and represents the male head elder of the family.

4. In simpler terms, using a stove in the NW sector can negatively impact one's Heaven luck and potentially influence the male head elder's career.

5. It is easy to identify South-facing stacks and look for those with kitchens in the NW sector, particularly those facing Flying Stars S2.

6. As an example, in the HDB Kim Keat Beacon development, stack #562 has a kitchen located within the NW sector.

699470986_KimKeatBeaconFireatHeavensgate2.png.2e0e96165abf0fe4ef9b3b3fe528f5fa.png

7. Stacks #534 and #546, highlighted in red, are impacted by the kitchen at NW. These two stacks face S2 with the kitchen located at the Fire at Heaven's gate position.
1696869911_KimKeatBeaconFireatHeavensgate1.thumb.png.826f78b4f3feade7abf18b7d795f3e8a.png

  • Author
  • Staff

In 1966, Toa Payoh was a large piece of virgin landED699DE3-43C9-4B6A-A41D-8B639912C00D.png

Toa Payoh East borders Potong Pasir to it’s right or East. Today, CTE divides this two districts.

2D13A6E2-4878-4911-963A-0DEAFFE27502.png

  • 1 month later...
On ‎5‎/‎26‎/‎2018 at 6:35 PM, Cecil Lee said:

Part 8: Male Breadwinner and the inauspicious Fire at Heaven's Gate

1. Do a search in this forum for " Fire at Heaven's Gate ".

2. Generally, a kitchen especially if a stove is directly at the NW cardinal point will be inauspicious for the male-head of the house. Typically this can affect him.

3. This is because NW under the Ba Gua Trigram belongs to the Heaven (sign). And NW also represents the male-head elder of the house.

4. Thus in simple terms: turning on a stove at NW will burn one's Heaven luck = not lucky and also may affect the male-head elder's career.

5. It is thus not difficult to visualise South facing stacks and try to locate stacks with kitchen at NW sector. Especially Flying Stars S2 facing ones.

6. Thus for this development HDB Kim Keat Beacon, I picked one example. Here, stack #562 as shown below has the kitchen within the NW sector:-

699470986_KimKeatBeaconFireatHeavensgate2.png.2e0e96165abf0fe4ef9b3b3fe528f5fa.png

7. In addition, stacks #534 and #546 (circled in RED, see below) are also affected by the kitchen at NW. Both these stacks are S2 facing with kitchen at the Fire at Heaven's gate location.
1696869911_KimKeatBeaconFireatHeavensgate1.thumb.png.826f78b4f3feade7abf18b7d795f3e8a.png

Hi Cecil, I'll like to check - isn't #562 kitchen facing the north-east? How do you determine if the kitchen is facing north-west? thank you!

  • Author
  • Staff
On 7/19/2018 at 10:14 PM, MSEL said:

Hi Cecil, I'll like to check - isn't #562 kitchen facing the north-east? How do you determine if the kitchen is facing north-west? thank you!

I have been conducting evaluations for many years. With just a quick glance, I can mentally confirm whether the kitchen is located at the NW without the need for mapping. However, mapping is provided to help clear any doubts. It's worth noting that the NE is situated at the Air-con ledge and Bath/WCs.

See below:-

hdb kim keat beacon 562.png

  • Author
  • Staff

Case Study - Why are you not replying to my doubts on what you say?

2146047185_Noreplygiveninthefuture-next.png.0400feb09c6cc2514c5decee9591b581.png

It is important for guests or users to conduct their own research rather than making hasty generalizations based on fleeting emotions or a desire to post something, anything. No one is infallible.

We have published numerous research papers containing valuable information. It is essential to treat this information with the appropriate level of respect.

We welcome any evidence that contradicts our findings. Failing to do so only leads to confusion and doubt among readers, as well as potentially damaging one's reputation.

Therefore, it is crucial to contribute constructively and avoid relying solely on intuition or baseless claims.

Where are the verifiable facts?

It is imperative to set the record straight.

Thankfully, such occurrences are rare, happening only once every couple of decades...phew-:).

On 5/26/2018 at 6:35 PM, Cecil Lee said:

Part 8: Male Breadwinner and the inauspicious Fire at Heaven's Gate

1. Do a search in this forum for " Fire at Heaven's Gate ".

2. Generally, a kitchen especially if a stove is directly at the NW cardinal point will be inauspicious for the male-head of the house. Typically this can affect him.

3. This is because NW under the Ba Gua Trigram belongs to the Heaven (sign). And NW also represents the male-head elder of the house.

4. Thus in simple terms: turning on a stove at NW will burn one's Heaven luck = not lucky and also may affect the male-head elder's career.

5. It is thus not difficult to visualise South facing stacks and try to locate stacks with kitchen at NW sector. Especially Flying Stars S2 facing ones.

6. Thus for this development HDB Kim Keat Beacon, I picked one example. Here, stack #562 as shown below has the kitchen within the NW sector:-

699470986_KimKeatBeaconFireatHeavensgate2.png.2e0e96165abf0fe4ef9b3b3fe528f5fa.png

7. In addition, stacks #534 and #546 (circled in RED, see below) are also affected by the kitchen at NW. Both these stacks are S2 facing with kitchen at the Fire at Heaven's gate location.
1696869911_KimKeatBeaconFireatHeavensgate1.thumb.png.826f78b4f3feade7abf18b7d795f3e8a.png

Hi Cecil, Given 564 is having a mirror image of 562,  how differently will the NW facing not affect 564? If not given a choice, we can only get stack 562, is there any way or suggestions that can be recommended to overcome / change it?

  • Author
  • Staff

1. You wrote: "Hi Cecil, Given 564 is having a mirror image of 562,  how differently will the NW facing not affect 564?"

1. The kitchen will now be located at the northeast, eliminating the need for any discussion about the northwest. Is there a fire at Heaven's Gate for 564, correct?

2. One crucial factor for success lies in the Concept of Maximizing Marks: https://www.geomancy.net/wiki/The_Concept_of_Maximizing_Marks

3. Why do some homeowners seem less affected by a kitchen in the northwest while others are significantly impacted?

3.1 Drawing inspiration from Management Principles known as the "Situational Approach," it is evident that no two homes are identical, even if they are the same unit for different individuals.

3.2 For instance, breadwinners can have vastly different experiences. Even if both Mr. Tan and Mr. Lim are East group individuals, their outcomes can vary due to factors like ba zi. It's not a one-size-fits-all scenario.

3.3 Some individuals living in homes with a kitchen in the northwest may not see any issues at all. They may question the concerns about "Fire at Heaven's Gate" and consider it nonsense. For them, the benefits outweigh the drawbacks, and even with a northwest handicap, they can achieve high scores in maximizing marks.

3.4 On the other hand, it could be a completely different story for someone like Mr. Sim. Upon moving into a new home, he may face challenges like retrenchment, financial issues, and relationship problems.

4. It's essential to evaluate how suitable the house is for the male breadwinner, along with factors like the Summary of the breadwinner's Eight House Chart mentioned in Paragraph 4.2 below.

 


268565574_Howsuitableto.png.e92a1ab12b9b2174dc71e343b465dfd8.png

4.1. Certain providers [breadwinners] are more adept at enduring the effects of the kitchen in the northwest, for instance, if the house is better suited...

739547803_eightsectors.png.6797676ce74d138253c7b6aabc6b726e.png

4.2. Determine the number of sectors that are auspicious and their specific locations within the household. For instance, if the bathroom falls within the prosperity sector, it can negatively impact luck.

4.3. An effective Feng Shui assessment will pinpoint areas for improvement and solutions, while also considering the positioning of wealth luck sectors based on Flying Stars, among other factors.

2023192449_BYRANKINGSAMPLE.thumb.png.e726acb9e0ba41b16bf65aa4ca52c963.png

5. This is a just a simple general overview:- 

1E329FEC-C133-4916-92D1-BA2AB5DCF1FD.thumb.jpeg.fea142a8ea01506341c2dbc01dae305a.jpeg

5.1 You wrote:  "Is there any way or suggestions that can be recommended to overcome / change it?"
Should this be the case, then examinations would not exist.

2062097946_ifitisthatsoeasy.png.e2c1ff435bb251b9df13ebb453e0a0d5.png

5.2 Certainly! It is essential to consider the individuals residing in the household, along with a thorough Feng Shui assessment and the practice of enhancing luck. This includes addressing issues such as fixing leaks, among others.

5.3 Additional factors to take into account involve the kitchen's layout concerning the female head of the household, typically the wife, as well as the kitchen's specifications, measurements, type, and number of stove hobs.

6. In summary - reiterating your question: "Are there any recommendations or solutions that can be proposed to address/change this?"

6.1. To be honest, if finding a solution were that simple and straightforward, there would be no need for the intricate field of Feng Shui, which combines both art and science.

6.2. On the other hand, one could simply hope for the best and trust that the aforementioned factors apply to the situation.

6.2.1 It is akin to flipping a coin (in general): a 50/50 chance where the outcome could be either favorable or unfavorable for an individual.

194416622_HDBHEADSORTAILSits50-50.png.c48a9811aef4e1d2dd648ad203c2519c.png

7. The lack of regulation in the field of Feng Shui means that choosing the wrong Feng Shui Master can potentially cause more harm than good. A recent message from a client serves as a reminder of this fact.

A7AA3622-6ADF-4845-8649-93B7C6E3C29D.jpeg

968309292_AppliedResearchmakesthedifference.thumb.png.d4716c08d142f4df7e31668d052670df.png

  • Cecil Lee pinned this topic
  • 3 weeks later...
  • Author
  • Staff

one size fits all.png
 

Is there a kitchen located in the northwest? Is this situation truly unfavorable?

Has there been a fire incident at Heaven's Gate? Does this impact the luck of the male breadwinner and bring little to no luck to the other family members?

  • 10 months later...
  • Author
  • Staff

9E40CDE8-6523-42BE-BCF2-31A236FA2E88.gifMany Feng Shui Masters are FAKES!

They are actually a highly commercialised Feng Shui Store in disguise!

Ask: Must I buy from YOU?

B26834ED-2C9D-405B-BF91-CE01D18113E4.png

Feng Shui is purely scientific! No purchase of commercialised products in the name of Feng Shui is required!

Give me a good reason? Here goes....1994176385_FAKE(8).png.a52cd76f216680c8e5ecb5007540ea2b.png
Spread the word to your family and friends!

  • 2 years later...
  • Author
  • Staff
8 hours ago, Fan_of_Mr.Cecil.Lee said:

Hi Mr Lee, 

Is there such thing as BTO fengshui for determining whether my future neighbors will be noisy? 🤣

Frankly, no

  • 1 month later...
  • 10 months later...
  • Author
  • Staff

How can we help you today?

Comprehensive Home Package [A.]: On-site or [B.]: Off-site for HDB / Condo / EC & Landed Properties for New/Re-Sale House or facing financial/ marriage/ relationship/ health issues

 

Do you offer a 1 visit On-site audit? How much?

 

" As much as we see, Geomancy.net has great web presence built up over the years and is seen as one of the SG market leaders in residential house audit. "

Success starts with good Feng Shui

367287073_HEALTHWEALTHANDHAPPINESS50.png.03992f40f00dc4cd5e9453963bf0fa6c.png
Transparent Pricing & No Hidden Costs. No Purchase of Products.

 WHATSAPPx.gif.933b1f171b62310142ae17b5501fc685.gif Cecil Lee, +65 9785-3171 / support@geomancy.net

1861277562_UNDERSTANDINGMICRO.png.891959f03ef51f98ac6911212f3b30ed.png

 

House Hunting? We will help you select the most auspicious unit!
Learn More
696681019_geoamncysgicon.png.fb8c9b974fb87d32583cae8b9c22b372.png

The Experts in House Hunting

  • Author
  • Staff

More Photos

Nice to see a reliable brand:-

final.thumb.jpeg.ba92d22672b66b36b645b3bacff617e3.jpeg
 

How many have times one has seen a brand new, totally used bin(s) still wrapped in their protective plastic film?

final.thumb.jpeg.545286fd2e37feb189ff140b82fa50c4.jpeg

 

final.jpegfinal.jpegfinal.jpegfinal.jpegfinal.jpegfinal.jpegfinal.jpegfinal.jpegfinal.jpegfinal.jpegfinal.jpegfinal.jpegfinal.jpeg

 

final.jpegfinal.jpegfinal.jpegfinal.jpeg

  • Author
  • Staff

Permitted and not permitted works for Household Shelters (HS)

IMG_7136.jpeg

IMG_7137.jpeg

+++++++++++++++++++++++++
+++++++++++++++

How to turn on Water Supply

IMG_7135.jpeg

+++++++++++++++++++++++++++++++++
++++++++++++++++++++

How to turn on Electrical Supply

IMG_7134.jpeg

Developer shared the tiles codes

IMG_7141.jpeg

IMG_7140.jpeg
 

+++++++++++++++++++++++++++++++++++++++
+++++++++++++++++++++++++

Emergency Hotlines
 

IMG_7139.jpeg
++++++++++++++++++++++++++++
++++++++++++++++

Create an account or sign in to comment

Recently Browsing 0

  • No registered users viewing this page.
Sponsored Link
 
Background Picker

Account

Navigation

Search

Search

Configure browser push notifications

Chrome (Android)
  1. Tap the lock icon next to the address bar.
  2. Tap Permissions → Notifications.
  3. Adjust your preference.
Chrome (Desktop)
  1. Click the padlock icon in the address bar.
  2. Select Site settings.
  3. Find Notifications and adjust your preference.