A better way to browse. Learn more.
A full-screen app on your home screen with push notifications, badges and more.
Forgot your password?
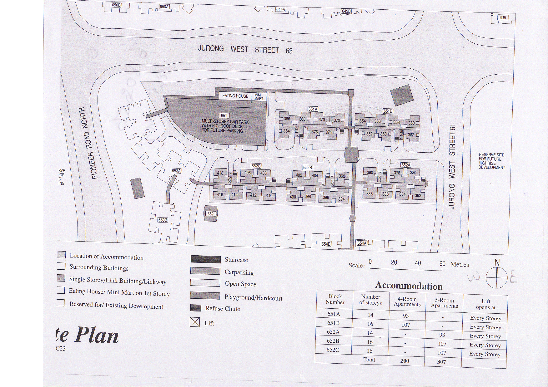
HDB Jurong West Street 61 Blocks Site plan
Create an account or sign in to comment